Pasar al contenido principal
SECCIONES
logo
logo
 ingresar
logo
  • FAMA
  • DEPORTES
  • MUNDO
  • TIERRA ADENTRO
  • EL PAÍS
  • RELAX
  • FAMA
  • DEPORTES
  • MUNDO
  • TIERRA ADENTRO
  • EL PAÍS
  • RELAX
Comercial superbaner Mobil 320x50
  • Mundo

Mundo
Francisco pide que se eliminen los prejuicios contra el pueblo gitano
Clasiguía
Mundo
Cuba ha recibido 20 mil turistas en cruceros durante 2015

COMERCIAL - Super Banner Desktop 728x90

Mundo
Papa Francisco pide eliminar prejuicios contra el pueblo gitano
Mundo
154 muertos en Pakistán por terremoto de 7,5 grados en Afganistán
Mundo
OMS alerta de que el consumo de carne procesada y embutidos es cancerígeno

COMERCIAL - Robapagina B Mobil 300x250

Mundo
Yihadistas llaman a matar a judíos de Marruecos en un vídeo
Mundo
Santos afirma que resultados electorales son un apoyo a la paz de Colombia

COMERCIAL - Robapagina C Mobil 300x250

Mundo
Capriles dice que Venezuela se encuentra a las puertas de la explosión social
Mundo
Uribe pide apoyo a su partido que estimula diálogo con comunidad, no con FARC
Mundo
Chile plantará 7.000 semillas de marihuana para uso médico
Mundo
El papa sobre el Sínodo de las familia: "Dará muchos frutos"
Mundo
El Sínodo aprueba más tolerancia a divorciados y otras situaciones familiares
Mundo
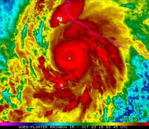
Saldo preliminar del superhuracán Patricia: sin víctimas
Mundo
Patricia se degrada a categoría 4 al seguir su avance en territorio mexicano
Mundo
Francis Ford Coppola recibe Premio Princesa de Asturias
Mundo
Patricia se interna en México, aunque por ahora sin la devastación prevista
Mundo
El ojo del huracán Patricia toca tierra en el estado mexicano de Jalisco
Mundo
Sentencia a 30 años cárcel a estadounidense por narcotráfico
Mundo
Cuba insiste en que embargo de EE.UU. perjudica la calidad de su educación
Mundo
El papa: "Los tiempos cambian y los cristianos debemos cambiar continuamente"
Mundo
La costa de México se prepara para el gran huracán Patricia
Mundo
Cuba insiste en que embargo de EEUU perjudica la calidad de su educación
Mundo
Al menos 43 muertos en accidente de tráfico en Francia
Mundo
Bill Gates vuelve a ser hombre más rico del mundo

Paginación

  • Página anterior Anterior
  • Página 361
  • Siguiente página Siguiente

COMERCIAL - Mobil 300x600

Contenido Premium
Ver más
Cáncer: la actitud y la red de apoyo importan

Cáncer: la actitud y la red de apoyo importan

Adavion, al servicio de los pacientes oncológicos

Adavion, al servicio de los pacientes oncológicos

Hidrocefalia, afección que no se puede prevenir, aunque sí las causas que la producen

Hidrocefalia, afección que no se puede prevenir, aunque sí las causas que la producen

Planta potabilizadora de Portobelo, a la deriva

Planta potabilizadora de Portobelo, a la deriva

Contenido Premium
Nikeisha Sánchez: 'Que piensen lo que quieran pensar'

Nikeisha Sánchez: 'Que piensen lo que quieran pensar'

Comercial 300x250 B

Más leídas
Artemis II supera minutos críticos tras el despegue rumbo a la Luna con cuatro astronautas

Artemis II supera minutos críticos tras el despegue rumbo a la Luna con cuatro astronautas

Reino Unido convoca a 35 países a una reunión virtual el jueves sobre el estrecho de Ormuz

Reino Unido convoca a 35 países a una reunión virtual el jueves sobre el estrecho de Ormuz

Más leídas
Artemis II supera minutos críticos tras el despegue rumbo a la Luna con cuatro astronautas
Reino Unido convoca a 35 países a una reunión virtual el jueves sobre el estrecho de Ormuz
Previous Next

Comercial 300x250 C

Comercial 300x600 desktop

El pleque pleque secrets
¡Ellos nos tienen de payasos… pélenles el ojo!

Comercial 970x90 footer desktop

logo dia a dia
  • Siguenos en:

logo dia a dia
  • Regístrate
  • Paute con nosotros
  • Panamá América
  • Crítica
  • Día a Día
  • Mujer
  • Recetas
  • Impresos
  • Cine
Miembro de:
logo PAL
Sociedad prensa

Todos los derechos reservados Editora Panamá América S.A. - Ciudad de Panamá - Panamá 2026.

Prohibida su reproducción total o parcial, sin autorización escrita de su titular

Utilizamos cookies propias y de terceros para mejorar nuestros servicios y mostrarles publicidad relacionada con sus preferencias mediante el análisis de sus hábitos de navegación. si continúa navegando, consideramos que acepta su uso. Puede cambiar la configuración u obtener más información aquí

×